Republic of the Philippines
SUPREME COURT
Manila
EN BANC
G.R. No. 26337 December 17, 1926
CELSO LEDESMA, plaintiff-appellant,
vs.
THE MUNICIPALITY OF ILOILO, CONCEPCION LOPEZ, MAXIMO M. KALAW, and wife, and JULIO LEDESMA, defendants-appellees.
Juan Ledesma for appellant.
Provincial Fiscal Borromeo Veloso for the appellee municipality.
Santos and Benitez for the other appellees.
JOHNSON, J.:
This action was commenced in the Court of First Instance of the Province of Iloilo. Its purpose was to recover of the defendant the municipality of Iloilo the sum of P15,780 as the value of the two lots Nos. 537 and 703 which, the plaintiff claimed, the defendant municipality had illegally appropriated, together with the sum of P5,000 as damages and costs. The recovery of said sums was opposed by the defendants upon the ground that the plaintiff and appellant was not and never had been the owner of said lots Nos. 537 and 703. The municipality of Iloilo contended that it had purchased said lots from Concepcion Lopez on the 9th day of March, 1925, for the purpose of widening the adjoining streets and had paid therefore the sum of P25,000. The other defendants answered the petition and supported the contention of the municipality. After hearing the evidence upon the issue presented, the Honorable Leopoldo Rovira reached the conclusion that a preponderance of the evidence supported the contention of the defendants, and rendered a judgment absolving them from all liability under the complaint, without any finding as to costs. From that judgment the plaintiff appealed.
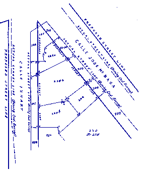
In order that the facts in the present cause may be more clearly understood, reference to the following map may be made:

It appears from the documentary evidence found in the record that prior to the 9th day of March, 1915, Concepcion Lopez was the owner of lots 228-A, 228-B, 537 and 703 as seen in said map, and that on the 9th day of March, 1915, all of said lots constituted lot No. 228. On the 9th day of March, 1915, Concepcion Lopez sold to the City of Iloilo a part of said lot, now numbered 537 and 703 for the sum of P25,000. The City of Iloilo promised to pay to Concepcion Lopez the said sum of P25,000 within a period of ten years (Exhibit 1). On the 10th day of November, 1915, after the presentation of a petition for registration of lot 228, a certificate of title (No. 464) was issued in favor of Concepcion for said lot 228, including lots 537 and 703. The inclusion of said lots (537 and 703) in said certificate of title was evidently an error on the part of someone connected with the office of the registrar of titles under the Torrens system.
Later and on the 27th day of April, 1918, Concepcion Lopez sold to Maximo M. Kalaw and wife said lot 228, including lots 537 and 703 evidently by mistake (see transfer certificate No. 617 and Exhibit B and 6). It is said that the inclusion of said lots 537 and 703 was a mistake because Concepcion Lopez as well as Maximo M. Kalaw and wife were ignorant of the fact that said lots were included in that transfer of certificate of title. Later and on the 11th day of August, 1919, Concepcion Lopez, representing Maximo M. Kalaw, sold said lots (228, 537 and 703) to Julio Ledesma, which sale was ratified by Maximo M. Kalaw and his wife on the 15th day of August, 1919 (see Exhibit D.) Later a transfer certificate of title No. 908 was issued in favor of Julio Ledesma (Exhibit H). According to the admissions of Julio Ledesma lots 537 and 703 were included by mistake.
On the 15th day of September, 1919, Julio Ledesma sold a portion of lot No. 228 was made into two lots 228-A and 228-B. Lot 228-A remained the property of Julio Ledesma (see transfer certificate of title No. 1131, Exhibit I). Said lots 537 and 703, according to said transfer certificate, remained the property of Julio Ledesma.1awphil.net
On the 2nd day of August, 1922, Julio Ledesma sold to the appellant herein lots Nos. 228-A, 537, and 703 (see transfer certificate 1989 in favor of Celso Ledesma, Exhibit J). Again, according to Julio Ledesma, lots 537 and 703 were included in the transfer of lot No. 228-A to Celso Ledesma by mistake.
The theory of the appellant is that, by reason of the fact that said lots 537 and 703 had been included in the registered title (title No. 464) of Concepcion Lopez in November, 1915, and Concepcion included in each succeeding transfer of title to him said lots, that he was the indisputable owner thereof, and because the City of Iloilo had appropriated said lots, that he was entitled to recover the value of said lots together with damages.
With reference to the theory of the appellant, an examination of the records shows that as early as April, 1915, said lots had been turned over by Concepcion Lopez to the City of Iloilo under a contract of sale for street purposes. That fact was well known. The said lots had been included as a part of the streets in the City of Iloilo. They had been segregated from the lot formerly owned by Concepcion Lopez. Said lots 537 and 703 had become a part of a public highway established by law. The same were therefore illegally included, in accordance with the provisions of section 39 of Act No. 496, in the certificate of title issued to Concepcion Lopez on the 10th day of November, 1915. That fact was recognized by Concepcion Lopez as well as by each of the subsequent purchasers of said lots. The simple possession of a certificate of title, under the Torrens system, does not necessarily make the possessor a true owner of all the property described therein. If a person obtains a title, under the Torrens system, which include by mistake or oversight land which cannot be registered under the Torrens system, he does not, by virtue of said certificate alone, becomes the owner of the lands illegally included. (Legarda and Prieto vs. Saleeby, 31 Phil., 590.)
The inclusion of public highways in a certificate of title does not thereby necessarily give to the holder of such certificate said public highways. The appellant, therefore, even though a part of said streets (lots 537 and 703) had been included in the original certificate of title and in the subsequent transfer of title, did not become the owner of said lots and is not therefore entitled to recover their value from the City of Iloilo nor the damages prayed for.
For all of the foregoing reasons, the judgment of the lower court is hereby affirmed, with costs. So ordered.
Avanceña, C. J., Street, Villamor, Johns, Romualdez and Villa-Real, JJ., concur.
Malcolm and Ostrand, JJ., concur in the result.
The Lawphil Project - Arellano Law Foundation